Description
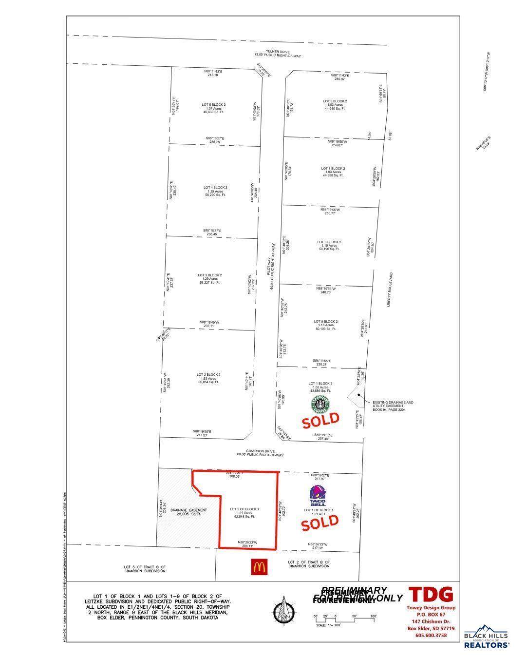
Prime Commercial Lot for Sale in Box Elder’s Fastest-Growing Corridor. If you’re searching for a high-traffic, high-visibility commercial lot in a rapidly developing community, look no further. Lot 2R is a .89-acre interior lot directly West of the Taco Bell lot and is ideally positioned just north of Interstate 90 and dynamic neighbors, including McDonald's, Starbucks, and Taco Bell (2026 construction start). Located in the Leitzke Subdivision—the newest commercial development in Box Elder, SD—this property sits along the west side of Liberty Boulevard, a key connector road with established infrastructure. Paved roads, curb and gutter, and all utilities are in place and stubbed to the lot line. The lot is fully surveyed and platted, ready for immediate development. Zoned "Highway Service," this property allows for a wide range of commercial uses (see Appendix A in associated documents), making it an excellent site for restaurants, retail, service businesses, or professional offices. Listed by Randy Olivier, RE/MAX Advantage Commercial, 605-430-6246.
-
0BEDS
-
0.89ACRES
-
0BATHS
-
01/2 BATHS
School Ratings & Info
Description
Prime Commercial Lot for Sale in Box Elder’s Fastest-Growing Corridor. If you’re searching for a high-traffic, high-visibility commercial lot in a rapidly developing community, look no further. Lot 2R is a .89-acre interior lot directly West of the Taco Bell lot and is ideally positioned just north of Interstate 90 and dynamic neighbors, including McDonald's, Starbucks, and Taco Bell (2026 construction start). Located in the Leitzke Subdivision—the newest commercial development in Box Elder, SD—this property sits along the west side of Liberty Boulevard, a key connector road with established infrastructure. Paved roads, curb and gutter, and all utilities are in place and stubbed to the lot line. The lot is fully surveyed and platted, ready for immediate development. Zoned "Highway Service," this property allows for a wide range of commercial uses (see Appendix A in associated documents), making it an excellent site for restaurants, retail, service businesses, or professional offices. Listed by Randy Olivier, RE/MAX Advantage Commercial, 605-430-6246.
© 2026 Black Hills Association of REALTORS® Multiple Listing Service. All rights reserved. The data relating to real estate for sale or lease on this web site comes in part from BHMLS. IDX information is provided exclusively for consumers' personal, non-commercial use and may not be used for any purpose other than to identify prospective properties consumers may be interested in purchasing. Information is deemed reliable but is not guaranteed accurate by the MLS or Berkshire Hathaway Homeservices | Midwest Realty. Data last updated: 2026-03-07T22:16:16.717.
